Piece of Paradise

Search Homes

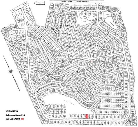
Bahama Sound 18 Lot#17205Exuma BSPrice: $40,000

  • Price: $40,000
  • Est. Mortgage of $/month
  • 149 Days on Market
$
$
%
$/month over payments
Federal 30-year interest rate: 6.36% last updated on May 14, 2026
* All Figures are estimates. Check with your bank or proposed mortgage company for actual interest rates.
This product uses the FRED® API but is not endorsed or certified by the Federal Reserve Bank of St. Louis.
  • $40,000List Price
  • 0.23Acreage
  • 10,000Square Feet

Listing Tools

Vacant single-family lot located in Bahama Sound 18, a rapidly developing subdivision adjacent to Jolly Hall and Hooper's Bay. Conveniently situated approximately 15 minutes from George Town and 20 minutes from Exuma International Airport, with grocery and hardware stores, liquor stores, a pharmacy, restaurants, and schools all within close proximity. Public beach access is within walking distance. Most utilities are available at the lot; water to be supplied via private well. An excellent opportunity to build in a desirable Exuma community. The neighboring lot (17204) is also available.

Property Details of Bahama Sound 18 Lot#17205

Map Location

Driving Directions

Courtesy of The Bahamas MLS

The data relating to real estate for sale/lease on this website comes in part from a cooperative data exchange program of the Bahamas Multiple Listing Service (MLS) in which these Brokers participate (BREA). The properties displayed may not be all of the properties in the Bahamas MLS database, or all of the properties listed with Brokers participating in the cooperative data exchange program. Properties listed by Brokers other than this Broker/Agent are marked with the IDX Symbol, indicating an agreement to exchange property information. Detailed information about such properties are noted as Courtesy of: The Bahamas MLS. Information provided is thought to be reliable but is not guaranteed to be accurate. You are advised to verify facts that are important to you. No warranties, expressed or implied, are provided for the data herein, or for their use or interpretation by the user. This information is protected from unlawful duplication by copyright.

Hi there! How can we help you?

Contact us using the form below or give us a call.

Send Us A Message:

I agree to receive marketing and customer service calls and text messages from Piece of Paradise Realty Ltd . To opt out, you can reply 'stop' at any time or click the unsubscribe link in the emails. Consent is not a condition of purchase. Msg/data rates may apply. Msg frequency varies. Privacy Policy.

Do not fill in this field:

This site is protected by reCAPTCHA and the Google Privacy Policy and Terms of Service apply.

Hi there! How can we help you?

Contact us using the form below or give us a call.

Send Us A Message:

Do not fill in this field:

This site is protected by reCAPTCHA and the Google Privacy Policy and Terms of Service apply.

Hi there! How can we help you?

Contact us using the form below or give us a call.

Send Us A Message:

Do not fill in this field:

This site is protected by reCAPTCHA and the Google Privacy Policy and Terms of Service apply.

Do not fill in this field:

This site is protected by reCAPTCHA and the Google Privacy Policy and Terms of Service apply.

Do not fill in this field:

This site is protected by reCAPTCHA and the Google Privacy Policy and Terms of Service apply.

Do not fill in this field:

This site is protected by reCAPTCHA and the Google Privacy Policy and Terms of Service apply.

$

Do not fill in this field:

This site is protected by reCAPTCHA and the Google Privacy Policy and Terms of Service apply.